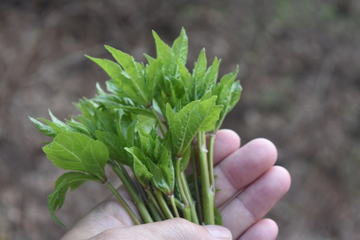
오가피순 채취시기, 오가피순 나물 만들기

2024.09.25

지금 이 계절은 다양한 봄나물과 나무순들을 채취해서 먹을 수 있어요. 오가피순 채취시기도 지금이 딱 적...

관련 포스팅

Copyright blog.dowoo.me All right reserved.