2025.10.17
출처
2016년 8월 서천군 홍원항/ 춘장대해수욕장/ 비인선도리 물때표
2016년 서천군 홍원항/마량항 춘장대해수욕장/ 비인선도리(갯벌체험장) 물때표 *홍원항/ 마량항/ 춘장대해...
(7월23일,11물때) 가을꽃게 조업일/ 멸치/건어물 조업 및 경매 시작일 [홍원항 마량항 수산물 중매인 신성수산]
가을꽃게 조업일/ 멸치/건어물 조업 및 경매 시작일 요 근래 아침 8시 30분에 오시면 볼수 있는 광...
(7월15일,3물때) 수산물 경매/ 선입찰제/ 현물입찰제/ 장단점/차이점 [홍원항 마량항 수산물 중매인 신성수산]
7월 홍원항 수협 경매시간 활어 경매(선입찰제) : 8시 선어 1차 경매 (현물입찰제) : 8시30분 (선어는 이후...
(7월11일,조금물때) 통발배/통발갑오징어/홍원항에 지진운이 떴다!! [홍원항/마량항 수산물 중매인 신성수산]
통발배/ 홍원항에 지진운이 떴다!! 오 마이 갓!! 지진운이라니!!! 7월11일 오전 8시30분 선어 1차 ...
내 블로그는 한마디로 뭐다?
나도 놓쳤던, 내 블로그 들여다보기 매력 있네~매력 있어!
(7월8일,11물때) 자연산 참소라. 통발/ 횟감 갑오징어 [홍원항/마량항 수산물 중매인 신성수산]
요즘 홍원항은 대부분 어장을 뺀 상태라.. 아침 경매 물량이 얼마 없다보니 간단하게 신성수산 밴드에만 올...
2016년 7월 홍원항 경매시간/ 춘장대해수욕장/ 비인선도리 물때표입니다
2016년 7월 홍원항 수협 경매시간 및 춘장대해수욕장/ 비인선도리(갯벌체험장) 물때표 *홍원항, 마량항,&nb...
(7월1일,3물때) 7월 홍원항 수협 경매시간 [홍원항/마량항 수산물 중매인 신성수산]
7월 홍원항 수협 경매시간 7월1일부터 홍원항수협 경매시간이 변경 되었습니다 활어 경...
(6월29일,1물때) 가시박대/참박대/서대 차이점. 참소라/갑오징어 [홍원항/마량항 수산물 중매인 신성수산]
가시박대/참박대/서대 차이점. 참소라/갑오징어 어느덧 2016년 홍원항 봄판의 끝이 다가왔네요 근해...
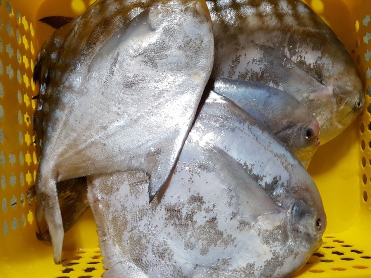
(6월27일,조금물때) 병어/덕자/ 통발 갑오징어/ [홍원항/마량항 수산물 중매인 신성수산]
병어/덕자/ 통발 갑오징어 6월27일 오전 7시30분 선어 1차 경매물량입니다 조금물때라 몇상자 안보...